sfy39587stp17
Aller au contenu principal

Jamaïque dévastée : le monstre Melissa laisse l'île exsangue

La Jamaïque s’est réveillée exsangue après le passage de l’ouragan Melissa, qui a balayé l’île mardi 28 octobre 2025 en milieu de journée (heure local...

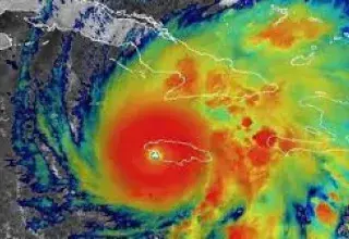
Ouragan Melissa : l'apocalypse au ralenti

Il n’y a plus de “saison” des ouragans : il y a Melissa. Une bête compacte, presque immobile, qui respire au-dessus des eaux surchauffées et pousse de...

France : sept minutes pour voler la République : le casse du Louvre qui ridiculise l’État

Sept minutes. Il n’aura fallu que sept minutes à une bande de professionnels, montés sur un banal camion de déménagement, pour s’introduire dimanche m...

Cambriolage spectaculaire au Louvre : huit bijoux d’une «valeur inestimable» dérobés

Le plus grand musée du monde s’est réveillé sous le choc ce dimanche 19 octobre. Le Louvre, symbole du patrimoine français et gardien de trésors unive...

France : trente ans de réclusion pour Cédric Jubilar, un verdict fondé sur un faisceau d’indices

Le silence a envahi la salle d’audience de la cour d’assises du Tarn lorsque le verdict est tombé, vendredi à 15 h 17. Après près de six heures de dél...

Marseille en alerte : incendie géant et persistant dans les quartiers Nord de la ville

Mardi 8 juillet, alors que le mercure grimpait au-dessus des normes estivales, un incendie d’une ampleur rare s’est déclaré aux portes nord de Marseil...

Une panne électrique historique plonge la péninsule ibérique dans le chaos

La péninsule ibérique a vécu, ce lundi, une situation sans précédent : une coupure de courant massive et soudaine a paralysé l’Espagne et le Portugal,...

France : l'ex-époux assassin de Chahinez Daoud condamné à perpétuité

Vendredi 28 mars, la cour d’assises de Gironde a rendu son verdict dans l’affaire du féminicide de Chahinez Daoud, perpétré le 4 mai 2021 à Mérignac. ...

France : rebondissement dans l’affaire du petit Emile, quatre membres de la famille en garde à vue

L’affaire de la disparition d’Emile Soleil, un enfant de deux ans et demi porté disparu en juillet 2023 dans les Alpes-de-Haute-Provence, connaît un r...

Affaire Nahel en France : le parquet estime que l’intention du policier de tuer était « évidente » et demande le renvoi en procès pour meurtre.

Le parquet de Nanterre a demandé, mardi 4 mars, le renvoi en procès pour meurtre de Florian M., le policier ayant mortellement blessé Nahel, 17 ans, l...

France : Joël Le Scouarnec, un ancien chirurgien au cœur d’un scandale de violences sexuelles

L'affaire Joël Le Scouarnec secoue le Morbihan, alors que l’ex-chirurgien comparaît devant la cour criminelle pour des accusations de violences sexuel...

Italie : affluence chaotique de touristes après le réveil de l’Etna

L’éruption du volcan sicilien, survenue le 11 février dernier, a offert un spectacle naturel impressionnant, attirant des milliers de curieux, dont de...

France : Notre-Dame de Bétharram, un enfer. France Info a recueilli les témoignages terrifiants d’anciens élèves

L'enquête en cours sur les violences physiques et sexuelles perpétrées à Notre-Dame de Bétharram, un collège-lycée catholique situé dans les Pyrénées-...

France: meurtre de Louise en Essonne, le principal suspect passe aux aveux

Le principal suspect dans le meurtre de Louise à Épinay-sur-Orge (Essonne), un homme de 23 ans, a avoué les faits lors de sa garde à vue, selon une an...

France : meurtre de Louise, l’ADN du principal suspect retrouvé sur les mains de l’enfant 

L’enquête sur le meurtre de Louise, une collégienne de 11 ans disparue à Epinay-sur-Orge, a connu des avancées significatives ces dernières heures. Le...

Italie : 147 membres de la mafia interpellés à Palerme : un coup de filet historique

Le mardi 11 février, une vaste opération menée par les carabiniers italiens a abouti à l'interpellation de 147 membres de la mafia à Palerme, en Sicil...

France : l’enquête s’accélère autour du meurtre de Louise, 11 ans, cinq personnes sont placées en garde à vue.

Ils sont désormais cinq face aux enquêteurs qui cumulent les indices et mènent apparemment cette enquête au pas de charge. Dans un premier temps, ils ...

France : Louise, une collégienne de 11 ans, retrouvée morte dans un bois après avoir été poignardée 

Le corps a été retrouvé durant la nuit du vendredi 7 au samedi 8 février dans le bois des Templiers, à proximité de son domicile à Épinay-sur-Orge, en...

France : le meurtre raciste, mais non reconnu comme tel, de Djamel Bendjaballah par un militant d’ultradroite

Les faits sont rapportés par le journal L’Humanité dans son édition numérique du vendredi 7 février. Le 31 août 2024, Djamel Bendjaballah, u...

Grèce : des séismes à répétition, toutes les trois ou quatre heures, sur l’Île de Santorin, les habitants fuient

L’île de Santorin, en Grèce, fait face à une série de secousses telluriques depuis plusieurs jours, forçant de nombreux habitants à quitter leur domic...

Turquie : au moins 76 personnes périssent dans un incendie qui a ravagé un hôtel

Le sinistre s’est déclaré durant la nuit de mardi 21 janvier au quatrième étage d’un établissement de luxe d’une station de ski situé à Kartalkaya, da...

France : enquête ouverte pour incendie criminel à Miramas (Bouches-du-Rhône)

Un incendie s'est déclaré ce vendredi à Miramas, rue de Wagram, dans un immeuble de sept étages. Les flammes ont piégé une famille de quatre personnes...

Espagne : la douane met la main sur 1 120 kilos de cocaïne au port de Barcelone, à destination d'Israël

Une opération conjointe de la Garde Civile et du Service de Surveillance Douanière de l'Administration Fiscale a abouti, le 30 décembre, à la saisie d...

France : le premier féminicide de l’année, une femme âgée de 51 ans succombe sous les coups de son compagnon 

Ce drame s'est déroulé à Hautmont, dans le Nord de la France, aux premières heures du Nouvel An. À 3 heures du matin, un homme a contacté la police, a...

Espagne : la police met la main sur 7 tonnes de cocaïne estimées à 500 millions d’euros

D'importantes quantités de drogue ont été saisies par la Garde civile en Andalousie, marquant un succès majeur dans la lutte contre le trafic de stupé...

sfy39587stp16